Adıyaman’da ki TOKİ Projeleri için ‘acele kamulaştırma’ kararı

Adıyaman’da ki TOKİ Projeleri için ‘acele kamulaştırma’ kararı

Adıyaman’da ki TOKİ Projeleri için ‘acele kamulaştırma’ kararı

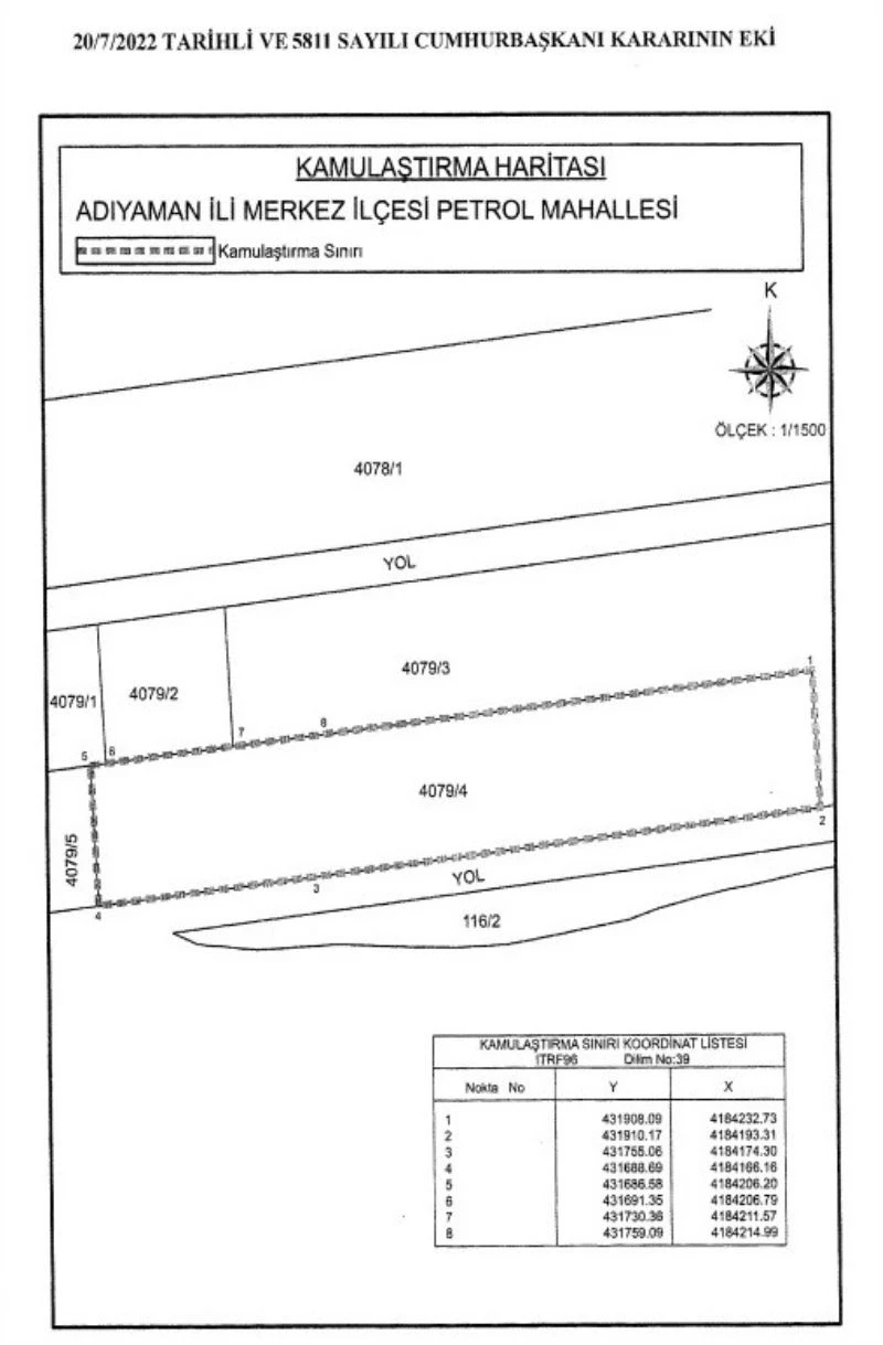
Cumhurbaşkanı’nın Adıyaman merkez Petrol Mahallesi’ndeki ‘100 bin sosyal konut’ projesi için acele kamulaştırma kararı Resmi Gazete’de yayınlandı.
Cumhurbaşkanı Recep Tayyip Erdoğan’ın, Toplu Konut İdaresi Başkanlığı (TOKİ) tarafından Adıyaman’da yapılacak olan konut alanındaki bazı taşınmazların acele kamulaştırılması ile ilgili kararı Resmi Gazetede yayımlandı.
Petrol Mahallesinde bulunan 116/2, 4079/1, 4079/2, 4079/3, 4078/1 ada ve parsellerin kamulaştırılması için karar yayımlandı.
Resmi Gazete’de, “Adıyaman’da Petrol Mahallesi sınırları içerisinde bulun ve ekli harita sınırları ile ada ve parsel numarası belirtilen taşınmasın “100 bin sosyal Konut Projesi” çercevesinde Toplu Konut İdaresi Başkanlığı tarafından acele kamulaştırılmasına, 2942 sayılı Kamulaştırma kanunun 27’nci maddesi gereğince karar verilmiştir” denildi.


Güncel 21.07.2022 15:06:04 0

İlginizi Çekebilir

1

Serik'te uyuşturucu operasyonunda 1 şüpheli yakalandı

2

Mersin'de merdiven altı üretilen 6 bin 86 kavanoz sahte krem ele geçirildi

3

Rönesans Holding iştiraki Ballast Nedam, Hollanda'da 933 konutun satışını gerçekleştirdi

4

Koleksiyon Mobilya'dan 2025 yılında 80 milyon lira net kar

5

Osmaniye’de rezerv alanlarındaki konut ve işyeri çalışmaları sürüyor

6

Osmaniye’de tamamlanan 10 köy konutunun anahtarları hak sahiplerine teslim edildi

7

Mersin'de silahla kuyumcuyu soyan zanlı tutuklandı

8

Antalyaspor'da Trabzonspor maçı hesapları

9

Osmaniye'de yapımı tamamlanan 10 köy evi depremzedelere teslim edildi

10

Antakya'da 1909 uyuşturucu hap ele geçirildi